Lowndes Area Knowledge Exchange (LAKE)

[prev][index][next] [index to photographs]

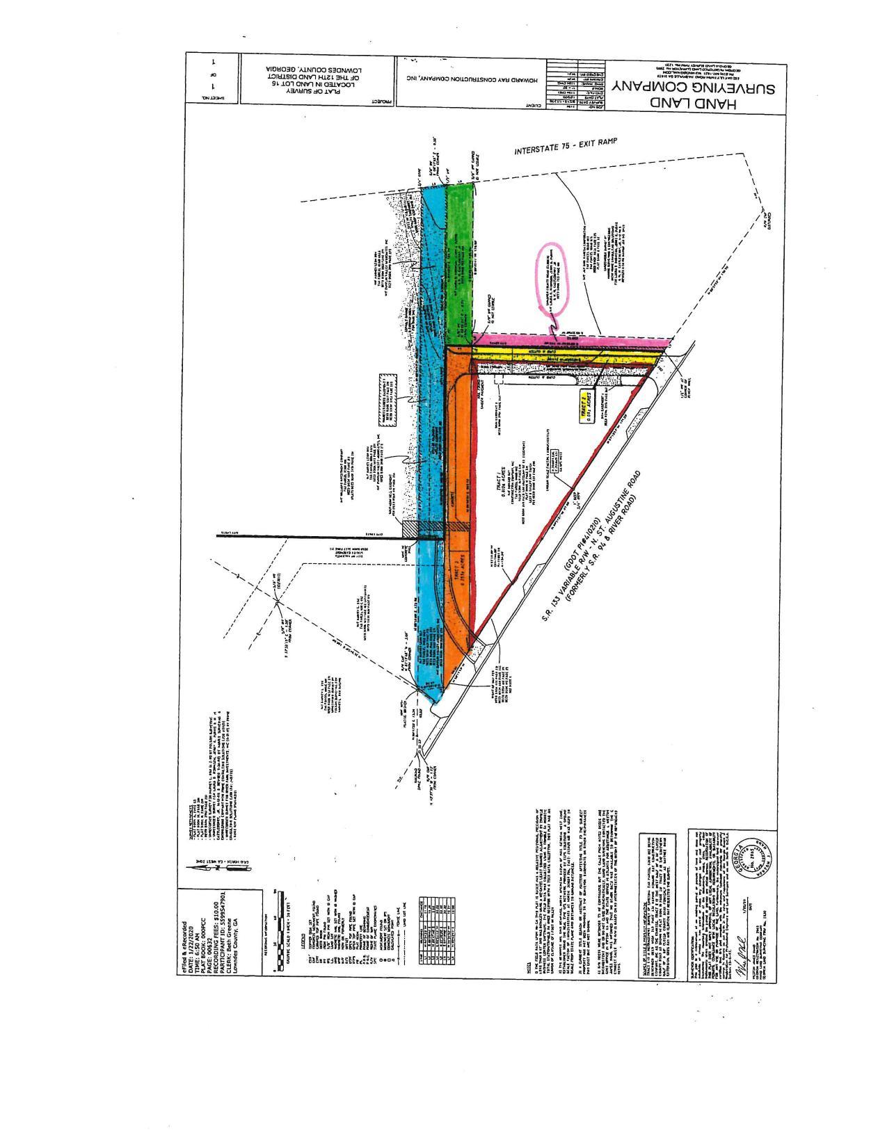
Survey Plat

COMMISSION AGENDA ITEM: Quit Claim Deeds for Abandoned Right of Way for Dineshkumar Patel
Subdivisions, quit claim, fire tax district & draft pit, Chambers A/V, deannexation, resurfacing, soccer complex, shooting range shelter @ LCC
21 April 2021

 
Survey Plat
smaller PDF