Lowndes Area Knowledge Exchange (LAKE)
Duplicate of Page 9
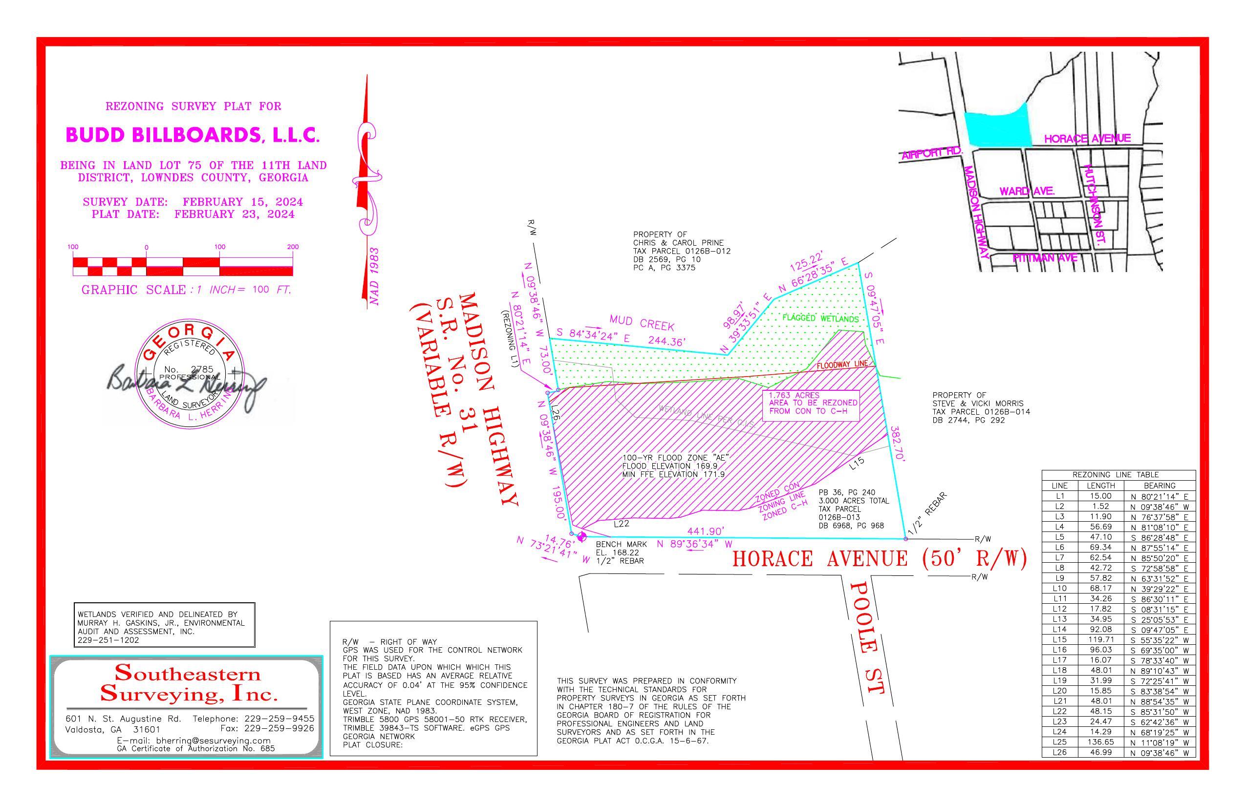
REZ-2024-06 Budd Horace Ave, 1735 Madison Hwy, ~3.0ac, CON & C-H to CON & C-H, Well & Septic
Packet: A controversial and an easy rezoning, pet shop ordinance, and Moody AFB water storage tank @ LCC
8 September 2025
smaller
PDF
Photographs
by
Lowndes Area Knowledge Exchange (LAKE)
,
licensed by a
Creative Commons Attribution-Share Alike 3.0 U.S. License
.
Lowndes Area Knowledge Exchange (LAKE)