Lowndes Area Knowledge Exchange (LAKE)

[prev][index][next] [index to photographs]

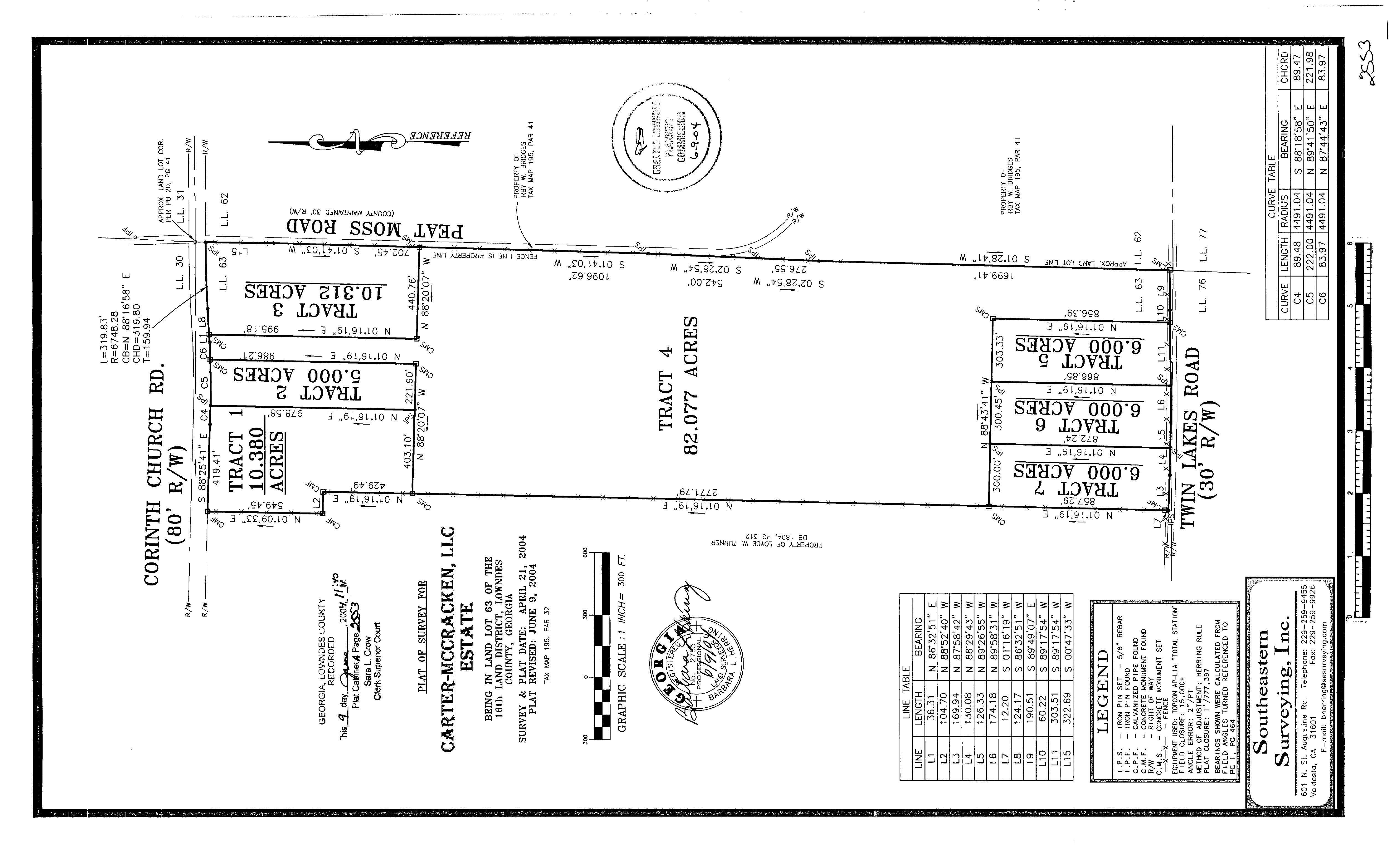
Map: power line easement, Peat Moss Road, Carter-McCracken LLC Estate

PI# 0016280 Twin Lakes Road Paving and Drainage Improvements Georgia Power Relocation Agreement
Packet: 4 Presentations, 4 Appointments, 2 Rezonings, 1 Dec. Lighting, 16 For Consideration, 1 Pump Station Upgrade @ LCC
8 December 2025

 
Map: power line easement, Peat Moss Road, Carter-McCracken LLC Estate
smaller PDF